Relationship Graph

Relationship Graph
related to related to child of child of duplicate of duplicate of

View Issue Details

IDProjectCategoryView StatusLast Update
0021817mantisbtuipublic2020-09-15 11:42
Reportercproensa Assigned To 
PrioritynormalSeverityminorReproducibilityhave not tried
Status newResolutionopen 
Product Version2.0.0-beta.3 
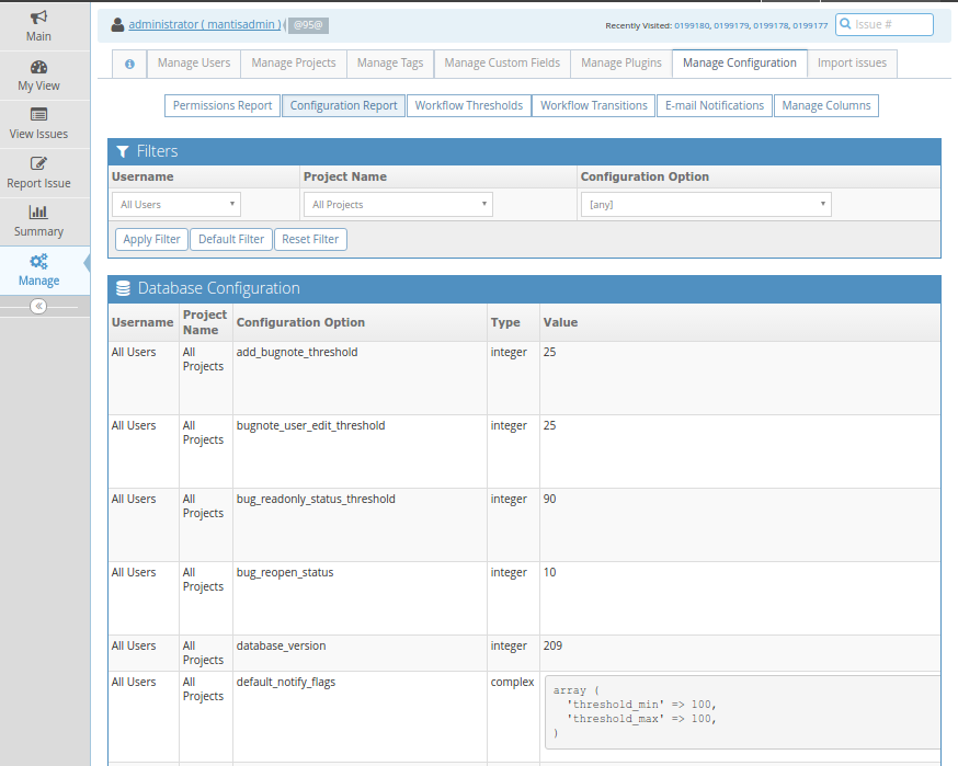
Summary0021817: adm_config_report.php configuration table overflows screen and is not usable
Description

when the main table is wider than available screen, the right part of the table is unreachable, as there are not scroll bars either...
The action buttons are not usable.

Tagsmodern-ui
Attached Files
Selección_071.png (66,079 bytes)   
Selección_071.png (66,079 bytes)   

Relationships

duplicate of 0022132 acknowledged Some tables gets off screen and cant be scrolled conveniently 

Activities

cproensa

cproensa

2016-10-21 18:25

developer   ~0054314

I must correct.
The scrollbar is showed at the bottom of the table container.

That means, to get to the button of one of the top rows i have to:

  • scroll to the end of the page
  • scroll to the right of the table
  • scroll back up the page
  • guess which row is it, because at this point the option name is not shown, hidden at the left